Las autoridades de Bahamas confirmaron este miércoles que más de 1.400 personas de las islas Ragged, Acklins, Long Island, Crooked y la isla bahameña de San Salvador, ubicadas en el sureste del país, están teniendo problemas para ser evacuadas, debido a la inminente llegada del huracán Melissa, convertido en categoría 2.
El presidente ejecutivo de la Autoridad para la Reconstrucción tras Desastres (DRA, en inglés) de Bahamas, Alex Storr, reconoció las quejas de los ciudadanos por la gestión de las autoridades que todavía no han podido evacuar a toda la población hacia Nasáu y Nueva Providencia, horas antes del impacto de Melissa.
«Los aviones están ahora mismo en tierra en esas islas o de camino hacia ellas», aseguró Storr en una rueda de prensa.
El titular de la DRA precisó que el lunes se evacuó a unas 430 personas, el martes por la mañana a casi 300 más, y que los vuelos continuaron durante la noche para trasladar a las aproximadamente 1.400 personas que figuraban en la lista de evacuación.
Posteriormente, las autoridades explicaron que se espera evacuar a un total de 1.453 personas que solicitaron ayuda a las autoridades.
Los habitantes de la isla de Crooked mostraron su descontento en redes sociales por la larga espera que tuvieron que realizar en el aeropuerto para ser evacuados, ante la falta de información por parte de las autoridades de los horarios de los vuelos de evacuación.
Por su parte, el director general de la Autoridad de Gestión de Riesgos de Desastres (DRM, en inglés), Aarone Sargent, respondió a las preocupaciones de los residentes y destacó que la autoridad está haciendo todo lo posible.
Los meteorólogos predijeron inicialmente que Crooked y Acklins serían las zonas más afectadas por la tormenta, pero, tras el cambio de rumbo de esta, ahora prevén que Melissa afecte mayormente a la isla de Ragged, Long Island, Rum Cay y San Salvador.
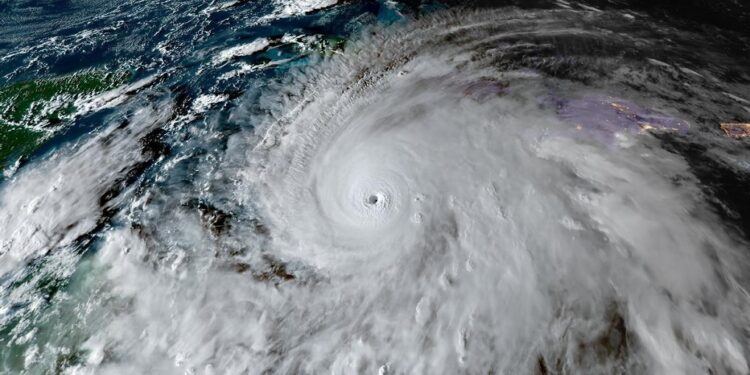
El Centro Nacional de Huracanes (NHC, en inglés) de Estados Unidos indicó en su último boletín que Melissa avanza actualmente a unos 22 kilómetros por hora en dirección a Bahamas, donde se estima que llegará hoy y que los efectos comiencen a sentirse en las próximas horas.
«Se esperan vientos peligrosos, lluvias intensas, inundaciones y marejadas ciclónicas a lo largo del día. Permanezcan en sus casas y estén atentos a las actualizaciones oficiales», según reportó la agencia oficial de Manejo de Desastres de Bahamas en redes sociales.
El huracán presenta vientos máximos sostenidos de 155 kilómetros por hora con ráfagas aún mayores y es posible que se fortalezca ligeramente entre hoy y mañana, según el NHC.
En el sureste de las Bahamas, se esperan acumulaciones de lluvia de entre 12 y 25 centímetros este miércoles, con posibles inundaciones repentinas.
EFE












