Mundo El joven liberal Rob Jetten gana las elecciones generales de Países Bajos y se encamina a convertirse en primer ministro 29 octubre 2025
Mundo Trump y Xi se reúnen en Corea del Sur para buscar solución a disputas comerciales 29 octubre 2025
Destacado EE.UU. lanzó un nuevo ataque contra «narcolancha» en el Pacífico: cuatro muertos 29 octubre 2025
Mundo Corte Suprema de Brasil pide explicaciones al gobernador de Río por el letal operativo policial 29 octubre 2025
Mundo Argentina activa alerta máxima en fronteras con Brasil tras operativo policial en Río de Janeiro 29 octubre 2025
Mundo Reserva Federal recorta los tipos de interés en un cuarto de punto hasta dejarlos entre 4 % y 3,75 % 29 octubre 2025
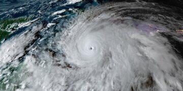
Mundo Reportan problemas para evacuar a miles de personas en Bahamas por el huracán Melissa 29 octubre 2025
Mundo EE.UU. pone fin a la extensión automática de los permisos de trabajo para ciertos migrantes 29 octubre 2025
Mundo Corte Suprema de Perú rechaza recurso de expresidente Vizcarra que buscaba anular juicio 29 octubre 2025
Navegantes del Magallanes impone su ley ante Leones del Caracas en el primer clásico del año 30 octubre 2025
El portero del Inter de Milán Josep Martínez es investigado por homicidio imprudente en Italia 28 octubre 2025
Avión de Gustavo Petro no pudo abastecer combustible en Madrid debido a sanciones de la OFAC 30 octubre 2025
Prevén apagones en 48% de Cuba, mientras el oriente sigue a oscuras por el paso de Melissa 30 octubre 2025
Papa León XIV continúa la tradición y celebrará la misa de Difuntos en un cementerio romano 30 octubre 2025